Khởi tố vụ án giả danh bác sĩ, khám chữa bệnh trái phép tại BK Dong Yang, lừa đảo hơn 18 tỉ đồng

Khởi tố vụ án giả danh bác sĩ, khám chữa bệnh trái phép tại BK Dong Yang, lừa đảo hơn 18 tỉ đồng

Đời sống

Từ một cơ sở dịch vụ cắt tóc, gội đầu, tắm hơi, massage, sau một thời gian ngắn biến tướng, hoạt động vượt phạm vi cho phép, tự ý tổ chức hoạt động khám bệnh, chữa bệnh trái phép. Nhân viên mặc áo blouse trắng, đeo bảng tên ghi “bác sĩ”, tư vấn và “điều trị” cho hàng trăm người dân mỗi ngày, chiếm đoạt 18 tỉ đồng.

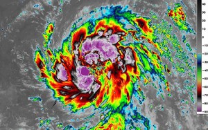
Tiền thân bão số 14 mạnh lên thần tốc, dự báo thời điểm vào Biển Đông

Tiền thân bão số 14 mạnh lên thần tốc, dự báo thời điểm vào Biển Đông

Đời sống

Bão Fung-wong, tiền thân bão số 14, đã mạnh lên thành bão nhiệt đới dữ dội, có khả năng trở thành siêu bão trước khi tiến vào Biển Đông tuần tới.

TP. Hồ Chí Minh: Đột kích lò "độ chế" xe quy mô lớn ở Dĩ An

TP. Hồ Chí Minh: Đột kích lò "độ chế" xe quy mô lớn ở Dĩ An

Đời sống

Ngày 6/11/2025, Đội CSGT Rạch Chiếc phối hợp lực lượng nghiệp vụ thuộc Phòng Cảnh sát hình sự, Phòng Cảnh sát kinh tế và Công an phường Dĩ An kiểm tra lò "độ" xe trên địa bàn phường Dĩ An. Thời điểm kiểm tra, phát hiện nhiều phụ tùng không hóa đơn, cùng nhiều phương tiện đang trong quá trình được "độ chế", thay đổi kết cấu.

Bão số 13 đi qua, Gia Lai thiệt hại nặng nề

Bão số 13 đi qua, Gia Lai thiệt hại nặng nề

Đời sống

Cơn bão số 13 đi qua đã gây ra thiệt hại nặng nề cho người dân tỉnh Gia Lai, ít nhất đã có 1 người tử vong và 2 người bị thương.

Tin lũ trên hạ lưu sông Ba (Đắk Lắk), tin cảnh báo lũ trên các sông từ thành phố Huế đến Đắk Lắk

Tin lũ trên hạ lưu sông Ba (Đắk Lắk), tin cảnh báo lũ trên các sông từ thành phố Huế đến Đắk Lắk

Đời sống

Theo Trung tâm Dự báo KTTV dự báo, hiện nay, lũ trên nhiều sông từ TP. Huế đến Đắk Lắk đang biến đổi phức tạp. Hạ lưu sông Ba tại Đắk Lắk đang lên, nguy cơ ngập lụt vùng trũng thấp, lũ quét và sạt lở đất ở các khu dân cư và vùng nông thôn là rất cao.

TP. Hồ Chí Minh tăng cường năng lực phòng chống thiên tai, thích ứng với biến đổi khí hậu

TP. Hồ Chí Minh tăng cường năng lực phòng chống thiên tai, thích ứng với biến đổi khí hậu

Đời sống

(HTV) - Triều cường tại TP. Hồ Chí Minh vừa vượt mức lịch sử, đặt ra yêu cầu cấp bách trong công tác ứng phó và đầu tư dài hạn cho hệ thống công trình phòng chống thiên tai.

Đắk Lắk: Sau bão, người dân chạy lũ trong đêm

Đắk Lắk: Sau bão, người dân chạy lũ trong đêm

Đời sống

Khuya 6/11, đến rạng sáng 7/11, hàng chục hộ dân tại thôn Phước Nhuận, xã Xuân Phước, tỉnh Đắk Lắk, tháo chạy trong đêm vì nước liên tục dâng cao gây ngập.

Phó Thủ tướng Trần Hồng Hà thị sát khu vực Quy Nhơn ngay trong đêm sau khi bão số 13 quét qua

Phó Thủ tướng Trần Hồng Hà thị sát khu vực Quy Nhơn ngay trong đêm sau khi bão số 13 quét qua

Đời sống

Đêm 6/11, ngay sau khi bão số 13 đổ bộ và quét qua khu vực TP. Quy Nhơn trước đây (tỉnh Gia Lai), Phó Thủ tướng Trần Hồng Hà cùng các thành viên Sở Chỉ huy tiền phương chỉ đạo công tác phòng, tránh, khắc phục hậu quả bão số 13 đã trực tiếp xuống địa bàn để kiểm tra, nắm bắt tình hình thiệt hại ban đầu.

Tin cuối cùng về cơn bão số 13, mưa lớn từ Thanh Hóa đến Đà Nẵng

Tin cuối cùng về cơn bão số 13, mưa lớn từ Thanh Hóa đến Đà Nẵng

Thời sự

Dự báo từ ngày 7/11 đến hết ngày 8/11, khu vực từ Thanh Hóa đến Bắc Quảng Trị có mưa vừa, mưa to, cục bộ có nơi mưa rất to với lượng mưa phổ biến 50-150mm, cục bộ có nơi trên 200mm.

Những thiệt hại ban đầu do bão số 13 gây ra ở Gia Lai, Đắk Lắk, Quảng Ngãi

Những thiệt hại ban đầu do bão số 13 gây ra ở Gia Lai, Đắk Lắk, Quảng Ngãi

Đời sống

Do ảnh hưởng của bão số 13, tại Đắk Lắk ghi nhận 1 người tử vong do sập nhà trong khi tại Gia Lai, nhiều cây xanh ngã đổ, bật gốc, một số nhà gần biển, đầm bị gió đánh sập.

Thời tiết ngày 7/11/2025 | TP. Hồ Chí Minh có mây, có mưa rào và dông vài nơi, riêng chiều và tối có mưa rào và dông rải rác

Đời sống

(HTV) - Theo Trung tâm Dự báo Khí tượng Thủy văn Quốc gia, ngày 7/11, TP. Hồ Chí Minh Có mây, có mưa rào và dông vài nơi; riêng chiều và tối có mưa rào và dông rải rác, cục bộ có nơi mưa to. Gió tây nam cấp 3 - 4. Trong mưa dông có khả năng xảy ra lốc, sét và gió giật mạnh.

TP. Hồ Chí Minh chủ động chống ngập nặng do triều cường kết hợp mưa lớn

Đời sống

(HTV) - Đợt triều cường Rằm tháng 9 âm lịch trùng với mưa lớn do hoàn lưu bão Kalmaegi khiến nhiều khu vực ven sông TP. Hồ Chí Minh có nguy cơ ngập sâu. Chính quyền và người dân đang chủ động nhiều giải pháp ứng phó.

Phường Thủ Dầu Một: Sẵn sàng ứng phó mưa bão và triều cường

Đời sống

(HTV) - Phường Thủ Dầu Một có nhiều kênh rạch, đang đối mặt với triều cường dâng cao. Địa phương này đã chủ động phối hợp cùng người dân gia cố đê bao, chuẩn bị lực lượng ứng trực để sẵn sàng ứng phó ngập lụt.

VNPT chủ động tuyến đầu bảo vệ hạ tầng thông tin trước bão số 13 Kalmaegi

VNPT chủ động tuyến đầu bảo vệ hạ tầng thông tin trước bão số 13 Kalmaegi

Đời sống

Trước diễn biến phức tạp của bão số 13 – Kalmaegi, VNPT lập tức kích hoạt trạng thái sẵn sàng toàn lực cho mọi tình huống. Hàng nghìn cán bộ kỹ thuật, phương tiện và thiết bị chuyên dụng được huy động khẩn trương nhằm bảo vệ hạ tầng viễn thông, duy trì thông tin thông suốt phục vụ công tác chỉ đạo phòng chống thiên tai.

TP. Hồ Chí Minh trước bài toán sụt lún: Hướng đi nào cho phát triển đô thị bền vững?

Đời sống

(HTV) - Nhiều khu vực tại TP. Hồ Chí Minh đang xuất hiện tình trạng sụt lún, nứt nhà, nghiêng tường khiến người dân lo ngại. Trước thách thức đó, Thành phố đang nghiên cứu triển khai các biện pháp kiểm soát sụt lún, đảm bảo an toàn cho người dân và hạ tầng đô thị.

Viettel kích hoạt toàn mạng lưới ứng phó bão số 13, bảo đảm thông tin thông suốt phục vụ chỉ huy cứu hộ

Viettel kích hoạt toàn mạng lưới ứng phó bão số 13, bảo đảm thông tin thông suốt phục vụ chỉ huy cứu hộ

Đời sống

Tập đoàn Công nghiệp – Viễn thông Quân đội (Viettel) đã kích hoạt toàn bộ hệ thống ứng phó ở cấp độ cao nhất nhằm bảo đảm thông tin thông suốt phục vụ công tác chỉ đạo và cứu hộ, cứu nạn trước diễn biến phức tạp của bão số 13 (Kalmaegi) tại khu vực miền Trung và Tây Nguyên.

Biệt đội cứu hộ 0 đồng sẵn sàng ứng phó bão số 13

Biệt đội cứu hộ 0 đồng sẵn sàng ứng phó bão số 13

Đời sống

Sáng ngày 6/11, Biệt đội cứu hộ 0 đồng Quảng Ngãi chính thức ra quân, sẵn sàng ứng phó với bão số 13.

NewZround: Chung tay giúp chấm dứt buôn bán thịt chó và mèo

Đời sống

(HTV) - Tổ chức FOUR PAWS cung cấp công cụ báo cáo buôn bán thịt chó và mèo, nhằm xác định các điểm nóng và hỗ trợ vận động chính sách. Đây là cuộc chiến giữa tập tục và lòng trắc ẩn, đòi hỏi sự chung tay của cộng đồng.

Phường Xuân Hòa diễn tập phương án chữa cháy và cứu nạn, cứu hộ tại khu dân cư

Phường Xuân Hòa diễn tập phương án chữa cháy và cứu nạn, cứu hộ tại khu dân cư

Đời sống

(HTV) - Phường Xuân Hòa phối hợp với lực lượng PC07 tổ chức diễn tập phương án chữa cháy và cứu nạn, cứu hộ tại khu dân cư, nâng cao kỹ năng xử lý tình huống thực tế cho người dân.

Tuyến xe buýt mới mang đến nhiều tiện ích cho người dân TP. Hồ Chí Minh

Tuyến xe buýt mới mang đến nhiều tiện ích cho người dân TP. Hồ Chí Minh

Đời sống

(HTV) - Chính thức đưa vào hoạt động 2 tuyến xe buýt kết nối khu vực Bình Dương và Bà Rịa - Vũng Tàu gồm: Tuyến số 171 từ Bến xe Phú Chánh đi Trung tâm Hành chính Bình Dương - Bến Thành có chiều dài 46km.

Tiêu điểm

Ra mắt sách và ấn phẩm đặc biệt kỷ niệm 100 năm Báo chí Cách mạng Việt Nam

Ra mắt sách và ấn phẩm đặc biệt kỷ niệm 100 năm Báo chí Cách mạng Việt Nam

Đời sống 11:27 19/06/2025

Ngày 18/6, tại Hà Nội, Báo Nhân Dân tổ chức lễ ra mắt sách “Những bài viết về văn hóa, báo chí của Bác Hồ trên Báo Nhân Dân”, cùng các ấn phẩm đặc biệt và triển lãm nhân kỷ niệm 100 năm Ngày Báo chí Cách mạng Việt Nam (21/6/1925 – 21/6/2025).

Chi cục Hải quan khu vực II chúc mừng HTV nhân kỷ niệm 100 năm Ngày Báo chí Cách mạng Việt Nam

Chi cục Hải quan khu vực II chúc mừng HTV nhân kỷ niệm 100 năm Ngày Báo chí Cách mạng Việt Nam

Đời sống 11:09 19/06/2025

Nhân dịp kỷ niệm 100 năm Ngày Báo chí Cách mạng Việt Nam (21/6/1925 – 21/6/2025), đoàn công tác Chi cục Hải quan khu vực II đã đến thăm và chúc mừng Đài Truyền hình TP.HCM (HTV), đơn vị truyền thông chủ lực của Thành phố.

NewZgraphic: Kỷ niệm 100 năm Ngày Báo chí Cách mạng Việt Nam (21/6)

NewZgraphic: Kỷ niệm 100 năm Ngày Báo chí Cách mạng Việt Nam (21/6)

Đời sống 10:33 19/06/2025

(HTV) - Ngày 21/6 hằng năm được chọn là Ngày Báo chí Cách mạng Việt Nam – một dấu mốc quan trọng để tôn vinh vai trò của báo chí trong sự nghiệp cách mạng và xây dựng đất nước.

Tin mới

Khát vọng HTV: Cột mốc khởi đầu cho hành trình mới

Thời sự 17:00 07/11/2025

(HTV) - Từ 0 giờ ngày 8/11/2025, các kênh BTV và BRT chính thức xuống sóng, mở ra hành trình hợp nhất và phát triển mới dưới thương hiệu HTV - Đài Phát thanh và Truyền hình TP. Hồ Chí Minh.

Việt Nam là nước đầu tiên trên thế giới xây dựng và ban hành Luật Dân số

Thời sự 16:49 07/11/2025

Dự thảo Luật Dân số đã được xây dựng, hoàn thiện theo hướng kế thừa, chỉnh lý 10 điều, sửa đổi 01 điều, bãi bỏ 26 điều của Pháp lệnh Dân số năm 2003 để phù hợp, đáp ứng yêu cầu thực tiễn.

Điện lực miền Trung khôi phục cấp điện cho hơn 555.000 khách hàng

Thời sự 16:47 07/11/2025

EVNCPC đặt mục tiêu trong ngày 7/11 sẽ hoàn thành cấp điện trở lại cho các khu vực trung tâm phường, xã; trong vòng 72 giờ tới, cơ bản khôi phục toàn bộ hệ thống điện tại miền Trung - Tây Nguyên.

Hội Chữ thập đỏ Việt Nam cứu trợ khẩn cấp người dân 6 tỉnh bị thiệt hại do mưa lũ

Thời sự 16:44 07/11/2025

Trung ương Hội Chữ thập đỏ Việt Nam triển khai đợt cứu trợ khẩn cấp hỗ trợ người dân 6 tỉnh, thành phố chịu thiệt hại nặng do mưa lũ kéo dài gồm: Đà Nẵng, Huế, Hà Tĩnh, Quảng Trị, Quảng Ngãi và Lâm Đồng.

Việt Nam đang ở thời điểm thuận lợi phát triển Trung tâm tài chính quốc tế

Kinh tế 16:43 07/11/2025

Sáng 7/11, tại TP.HCM đã diễn ra Diễn đàn “Thúc đẩy trung tâm tài chính quốc tế TP.HCM: Cơ hội và thách thức cho doanh nghiệp”

Giả danh bác sĩ, khám chữa bệnh trái phép, lừa đảo hơn 18 tỷ đồng xảy ra tại BK Dong Yang

Sức khỏe 16:39 07/11/2025

(HTV) - Ngày 6/11, Cơ quan An ninh điều tra Công an Thành phố Hồ Chí Minh đã ra quyết định khởi tố vụ án hình sự, khởi tố bị can và lệnh bắt đối với 2 bị can để điều tra về hành vi “Lừa đảo chiếm đoạt tài sản” xảy ra tại hộ kinh doanh BK Dong Yang.

VN-Index thủng mốc 1.600 điểm

Kinh tế 16:38 07/11/2025

Mặc dù VN-Index chìm trong sắc đỏ trong toàn bộ thời gian nhưng diễn biến bất ngờ trong những phút cuối phiên giao dịch 7/11 khiến nhiều nhà đầu tư bị sốc.

Thời sự trưa HTV ngày 7/11/2025 I Thiệt hại bước đầu do bão số 13

Thời sự 16:31 07/11/2025

(HTV) - Thời sự trưa HTV - Ngày 7/11/2025 đem đến cho quý vị những thông tin thời sự đáng chú ý sau.

TP. Hồ Chí Minh và ven biển Nam Bộ cảnh báo triều cường cao, đỉnh triều có thể đạt 4,25 mét

Thời sự 16:02 07/11/2025

(HTV) - Đợt triều cường tại vùng ven biển phía Đông Nam Bộ đang ở mức cao. Các khu vực trũng, thấp, ven sông và ngoài đê bao từ TP. Hồ Chí Minh đến Cà Mau có nguy cơ cao xảy ra ngập úng trong 24 giờ tới.

Bà Bùi Thị Minh Hoài làm Chủ tịch Ủy ban T.Ư Mặt trận Tổ quốc Việt Nam

Chính trị 16:01 07/11/2025

Bà Bùi Thị Minh Hoài được Ủy ban Trung ương Mặt trận Tổ quốc Việt Nam hiệp thương cử làm Chủ tịch Ủy ban Trung ương Mặt trận Tổ quốc Việt Nam thay ông Đỗ Văn Chiến.